Scale Insect Identification and Control: Don't Let Your Precious Plants Get Destroyed By Creepy Crawlers
Scale insects are a threat for many plants in the home and garden, sucking sap and robbing them of essential nutrients. Identify and treat scale on plants.
Nikki Tilley
Sign up for the Gardening Know How newsletter today and receive a free copy of our e-book "How to Grow Delicious Tomatoes".
You are now subscribed
Your newsletter sign-up was successful
Scale insects are a problem with many plants. They suck sap from plants which can cause damage ranging from mild to severe. Scale can infest trees, shrubs, perennials, and houseplants.
Successful control of scale on plants depends on identifying the type, finding them early, and timing treatments correctly. These common garden pests can be controlled with a little time and perseverance.
Let's learn more about identifying scale and how to control them.
Article continues belowScale Insect Identification – Types of Scale
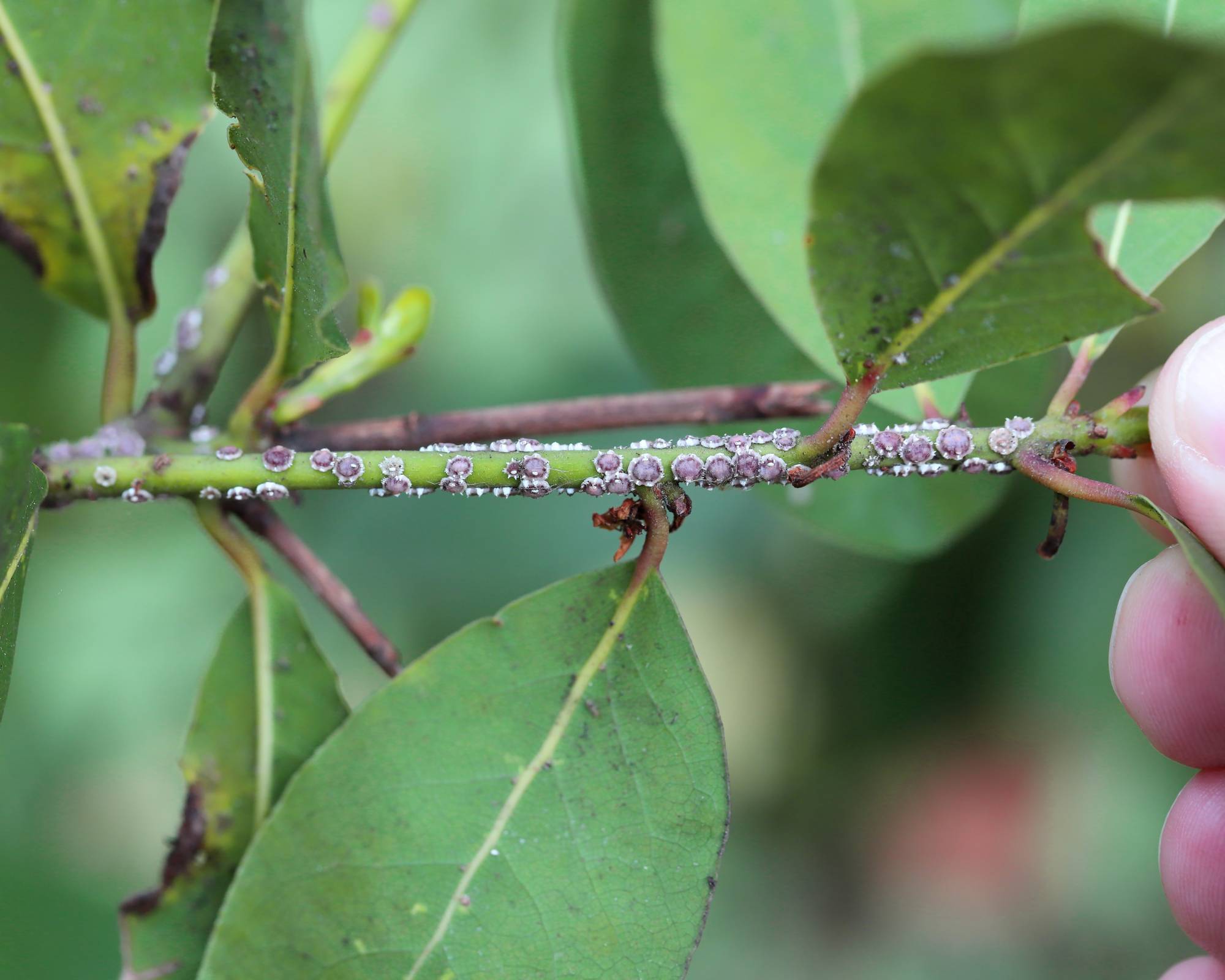
Scale insects thrive in warm, dry environments. The scale bug is small, oval and flat, with a protective tan to brown shell-like covering. Scale generally targets the undersides of leaves and around leaf joints.
All scales go through three stages of development. They begin as eggs laid under females’ shells. These hatch into nymphs, or crawlers. Crawlers move out from under female scales and infest other parts of the plant as they develop into adults. Identifying scale type is essential for successful eradication.
Soft Scales
Soft scales are small, convex insects. They are between an eighth and a quarter of an inch (.32 to .64 cm) long and are covered by a protective scale that cannot be removed from the body. They feed on the phloem of plants and excrete a sticky substance called honeydew.
Honeydew attracts other insects that feed on it. It can also trigger the growth of sooty mold, a black-colored fungus that interferes with photosynthesis. Various types of pine trees can be susceptible to pine needle scale and it is important to prune out large infestations. Ladybugs and wasps will hopefully take care of the rest.
Armored Scales
Armored scales are even smaller than soft scales. They are oval or elongated in shape. They have a hard cover over their body that is not actually attached to the body. Armored scales do not produce honeydew.
Sign up for the Gardening Know How newsletter today and receive a free copy of our e-book "How to Grow Delicious Tomatoes".
Mealybugs
Mealybugs belong to the same family as scales. They are similar in how they feed on and damage plants, but they lack the protective scale covering. They are small and oval and have segmented bodies. They are waxy with a white cottony appearance that makes them easy to identify.
Mealybugs are a common houseplant pest and are treated easily with neem oil, which can be found on Amazon. Outdoor mealybugs can also be treated by utilizing their natural predators like ladybugs, lacewings, spiders, minute pirate bugs, and mealybug destroyer beetles.
Giant Scales
Giant scales are much larger than the typical scale insects seen in most North American gardens. They feed mostly on woody trees and shrubs and are most problematic in warm and tropical climates around the world. Giant scale insects look a little like mealybugs.
Bark Scale
Bark scales also look similar to mealybugs. They infest stems, twigs, and branches and are rarely found on leaves. Bark scale is generally rare in North America but was recently discovered as a pest on crape myrtle bark.
Ground Pearls
Ground pearls sound lovely, but they are a nasty type of scale that live underground. They feed on and damage the roots of turfgrass. To identify them, you must dig up the soil. They are most easily identified by their waxy covering, which is spherical and pink to brown.
Scale Insect Damage on Plants
With most plant scale, the damage is mild until the infestation becomes more severe. Soft scales are easier to detect because you are likely to see honeydew or even mold before the insects cause damage to the plants. Signs of damage include:
- Slow growth
- Yellow leaves
- Premature leaf drop
- Plant death
Noticeable plant damage from severe soft scale infestation includes deformed leaves, dieback of branch tips, and the death of entire limbs.
Limb death is often the first sign of damage caused by armored scales. When they feed on foliage, armored scales can cause purple or yellow coloring of leaves and loss of foliage.
Heavily infested plants produce little new growth. If scale insects are not controlled, death of infested plants is possible.
How to Prevent Scale Pests
Scale infestations can be hard to manage, so prevention is best. Inspect plants carefully before buying. Scale insects on plants are small and hard to see but can be found on all parts of a plant.
How to Get Rid of Scale Insects
If you notice scales on plants, identify the type. The best timing for scale insect treatment is when they are in the crawler stage, which is different for each species. This is the only time they move, so you can identify crawlers by shaking a plant and seeing if any fall. You can also apply double-stick tape to catch and identify crawlers.
Scale insects are invasive and will infest other plants, so move infested plants away from healthy ones. Several well-known remedies can be used to eliminate scales from a houseplant. However, there is no easy cure for a scale bug infestation.
One possibility is to pick off or gently scrub them loose from the leaves and stems. Dabbing each scale with an alcohol-soaked cotton swab is another possibility for lightly infested plants.
Cultural Scale Insect Treatment
Cultural control means creating a healthy environment for your plants. If they are healthy, they are less likely to succumb to a scale infestation. Also, in a healthy ecosystem. Native predatory insects feed on scale, so a healthy native garden should help prevent infestations. Ladybugs, lacewings, wasps, spiders, and mealybug destroyers are all part of your team when battling scale insects.
Chemical Scale Insect Treatment
In scale infestations of outdoor gardens, use insecticides as a last resort, as they can harm beneficial insects, like bees. First try horticultural oil or insecticidal soaps to spot treat smaller infestations and to minimize damage to other insects. Repeat several times for the best results. If an infestation is severe, you might need a synthetic or systemic insecticide. Use these with caution and only as directed.
For houseplants, homemade insecticidal soap, insecticide sprays like neem oil, and horticultural oil will do the trick.
Spray applications should be timed to coincide with the crawler stage, which is most susceptible to insecticides. Insecticides must be applied thoroughly each week for a month or more for the greatest results. For heavy infestations, it is sometimes best to throw away infested plants.
Homemade Scale Insect Treatment
Many people prefer to use homemade control of plant scale. Insecticidal soap is a safe and effective alternative to conventional insecticides. You can use bleach-free dishwashing liquid (1 1/2 teaspoons per quart or 7 mL per liter of water) in place of commercial insecticide soaps.
Homemade control of plant scale can also be achieved with white oil spray. Mix 2 tablespoons (29.5 mL) of cooking oil and 2 tablespoons (29.5 mL) of baby shampoo in 1 gallon (1 L) of water. This can also be mixed with 1 cup (236.5 mL) of alcohol to help penetrate the insect's shell.
If a fungus is also present, add 2 tablespoons (29.5 mL) of baking soda. Shake well before and during application. Spray every five to seven days as needed, covering both sides of the foliage. Wash the leaves individually with the soap/oil mixture and rinse well.
BEFORE USING ANY HOMEMADE MIX: It should be noted that anytime you use a home mix, you should always test it out on a small portion of the plant first to make sure that it will not harm the plant. Do not spray on hairy or waxy-leaved plants.
Also, avoid using any bleach-based soaps or detergents on plants since this can be harmful to them. In addition, it is important that a home mixture never be applied to any plant on a hot or brightly sunny day, as this will quickly lead to burning of the plant and its ultimate demise.
Note: Chemical control should only be used as a last resort, as organic approaches are safer and more environmentally friendly.
Shop Scale Insect Control Essentials

Mary Ellen Ellis has been gardening for over 20 years. With degrees in Chemistry and Biology, Mary Ellen's specialties are flowers, native plants, and herbs.
- Nikki TilleySenior Editor